Typhoon Maysak: दक्षिण कोरिया में तबाही, 2,70,000 से अधिक घरों में बिजली आपूर्ति बाधित, चार परमाणु संयंत्र बंद, see pics
By सतीश कुमार सिंह | Updated: September 3, 2020 13:49 IST2020-09-03T13:49:46+5:302020-09-03T13:49:46+5:30

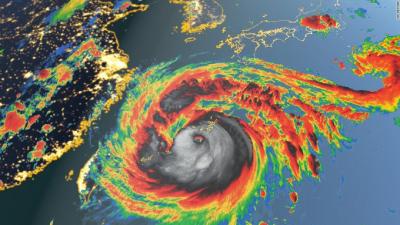
दक्षिण कोरिया के दक्षिणी और पूर्वी तटों से शक्तिशाली तूफान मयसक के टकराने के बाद बृहस्पतिवार को बेहद तेज आंधी चलीं और भारी बारिश हुई जिसके कारण 2,70,000 से अधिक घरों में बिजली आपूर्ति बाधित हो गई और प्रकृति के इस कहर में अब तक कम से कम एक व्यक्ति की मौत हो चुकी है।

दक्षिण कोरिया की मौसम विज्ञान एजेंसी ने बताया कि यह तूफान उत्तर कोरिया के पूर्व में दोपहर तक कमजोर होकर उष्णकटिबंधीय तूफान में बदल गया है। उत्तर कोरिया की सरकारी टीवी पर दिखाया गया कि पूर्वी तट पर बाढ़ से तबाही हो रही है।

इस संबंध मे किसी के हताहत होने की तत्काल कोई रिपोर्ट नहीं है। वहीं जापान के तटरक्षक गाय से भरे एक जहाज की तलाश कर रहे थे जिसमें चालक दल के 42 सदस्य सवार थे।

बुधवार तड़के तूफान की वजह से समुद्र में मौसम प्रतिकूल हो गया था और इस जहाज ने दक्षिणी जापानी द्वीप से मदद के लिए त्राहिमाम संदेश भेजा था। चालक दल के सदस्य में शामिल फिलीपीन के एक व्यक्ति को बुधवार देर रात सुरक्षित बचाया गया और उसने बताया कि डूबने से पहले जहाज पलट गई थी।

तूफान की वजह से दक्षिण कोरिया के 2,400 से ज्यादा लोगों को घर से निकालकर सुरक्षित स्थानों पर पहुंचाया गया, क्योंकि बाढ़ की वजह से दर्जनों घर और वाहन क्षतिग्रस्त या जलमग्न हो गए। बुसान में खिड़की के शीशे से घायल हुई एक महिला की बाद में मौत हो गई।

दक्षिण कोरिया के गृह एवं सुरक्षा मंत्रालय ने बताया कि बुसान के निकट चार परमाणु संयंत्र बिजली आपूर्ति संबंधी दिक्कत के बाद अपने-आप बंद हो गए। यहां किसी तरह का रेडियोधर्मी रिसाव नहीं हुआ।

बृहस्पतिवार सुबह दक्षिण कोरिया के अधिकारियों ने बताया कि वे 278,600 घरों में से 199,400 घरों में बिजली की आपूर्ति बहाल करने में सफल रहे। बिजली की आपूर्ति की यह दिक्कत मुख्य रूप से बुसान और रिसॉर्ट द्वीप जेजू में हुई।

तकरीबन 950 घरेलू उड़ानें रद्द कर दी गईं जबकि दक्षिणी और पूर्वी क्षेत्र में कुछ स्थानों पर रेल सेवा सुरक्षा कारणों से प्रभावित है। उत्तर कोरिया की आधिकारिक कोरियन सेंट्रल न्यूज एजेंसी (केसीएनए) ने बताया कि अधिकारी मयसक से होने वाली क्षति को कम करने के लिए काम कर रहे हैं।

मयसक से जापान के ओकिनावा द्वीप पर मंगलवार को ज्यादा क्षति नहीं पहुंची। दो सप्ताह के भीतर कोरियाई द्वीप में आने वाले यह दूसरा तूफान है।

















